Asys有限会社エイシス
エイシスについて
開業物件情報
エイシス無料会員登録
薬剤師登録
開業までのながれ
開業Q&A
実績紹介
お問い合わせ
優良物件募集中
会社概要
リンク集


開業物件情報
ホーム ホーム開業物件情報
 

ゴダイドラッグ久美浜店

クリックすると拡大します。

 

No. 2010-118 掲載日

2020/10/07

名称 ゴダイドラッグ久美浜店
取引形態 借地又はテナント
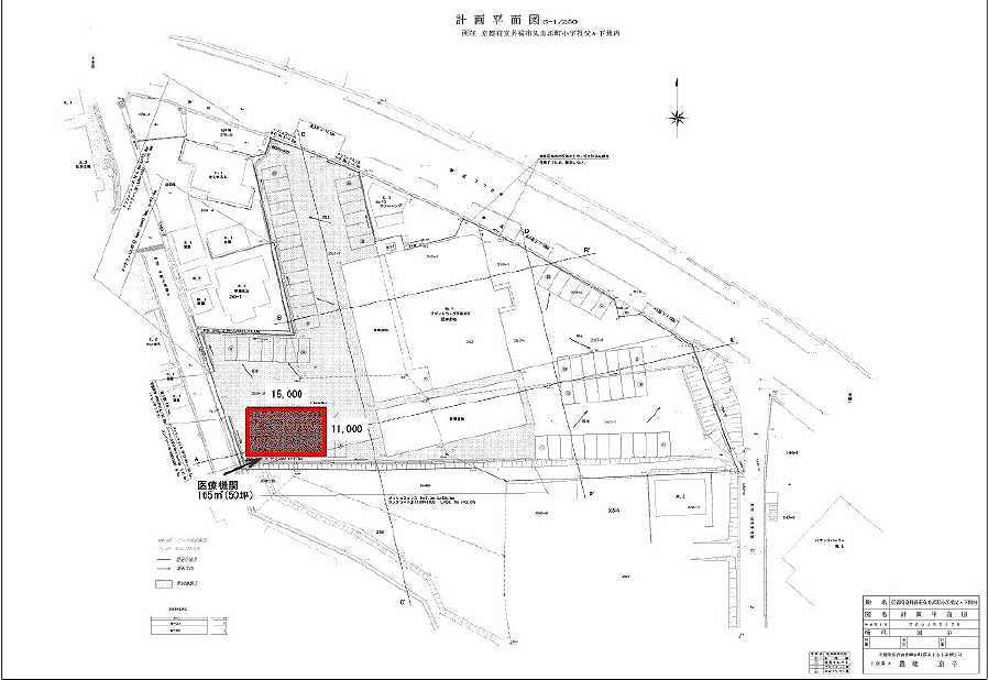
所在地 京都府京丹後市久美浜町262
交通  
適正科目 内科・外科・消化器内科・循環器内科・呼吸器内科・小児科・耳鼻咽喉科・眼科・皮膚科・整形外科・泌尿器科(その他の科目は直接ご相談を承ります)
コメント

ゴダイドラッグ、調剤に隣接し、50台以上の駐車場完備。月平均15,000人の集客に伴う認知度アップ

面積・賃貸料
など
(賃貸料・管理費・共益費には別途消費税が必要です)
階数 面積 賃貸料 管理費 敷金
共益費 保証金
1F 応相談 応相談 応相談 応相談
約50〜60坪程度の建物を想定しています。建築面積・家賃・保証金はご相談に応じますので、お問い合わせください。
構造  
築年月  
附帯設備 駐車場
物件形態 借地又はテナント
引渡し形態  
状況 隣接してゴダイドラッグ 久美浜店、ゴダイ薬局久美浜店があり、盛業中です。
特記事項  
お問い合わせ
有限会社エイシス TEL・FAX:078-753-7723
  携帯電話:090-2063-2800(青木)
  電話かお問い合わせフォームからのメールでお願いいたします。

※ お問い合わせいただいた時点で、既に物件が決定済みの場合もございます。悪しからずご了承下さい。

神戸市北区 内科クリニック継承
待合室

クリックすると拡大します。

 

ゴダイドラッグ久美浜店計画平面図

クリックすると拡大します。


 
         
開業物件情報に戻る

ページの先頭へ
有限会社 エイシスのホームへ
Asys 有限会社エイシス
〒655-0854 神戸市垂水区桃山台1-20-7
TEL・FAX 078-753-7723
2004 © Asys Inc. All rights reserved.